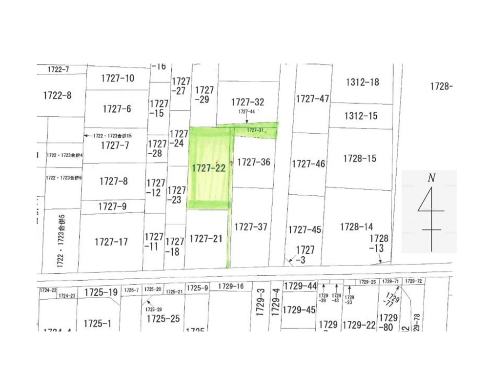
【売土地】三原市皆実6丁目|350万円|土地面積307.96㎡(93.15坪) お知らせ 2026年02月02日 三原市皆実6丁目 売土地 ※掲載の間取り図は概略図面であり実際の間取り・方位・形状等は現況を優先するものとします。 三原市皆実6丁目 売土地詳細情報 価格:350万円(税込) 所在地:広島県三原市皆実6丁目1-30 交通:三原警察バス停 徒歩約3分 土地:(公簿面積)307.96㎡(93.15坪) 地目:宅地 実測面積:未実測 権利:所有権 私道負担:無 現況:宅地 建物構造:木造 延床面積:118.90㎡ 種類:居宅 建築:昭和35年 現況:空家 引渡:即 設備:電気、公共下水道 道路:東側公道/幅員4.0mに約2.8m接道、南側公道/幅員5.0mに約1.0m接道 区域区分:市街化区域 用途地域:第一種住居地域 建ぺい率:60% 容積率:200% 他規制:建基法22条地域 備考:現況渡し 建物未登録 2025.12.22現在の物件です 広島ガス住設㈱ 福山ハウジングTEL:084-959-5858 メールでのお問い合わせはこちら>> 不動産に関することなら何でもご相談ください。ご要望に耳を傾け、お客様にご納得いただけるご提案をいたします。 新たに住宅をお探しの方、今の住まいをリフォームされたい方、住替えをお考えの方、相続した不動産を売却・活用したい方。 まずはお気軽にお電話やメールにてご相談ください。あらゆる可能性をご提示して、ご満足のいただける内容を目指して取り組んでまいります。 福山ハウジングTOP>> 不動産のご相談>> お役立ち情報満載!ハウジング手帖>> 最近の投稿 【建付土地】福山市田尻町字灘|800万円|土地面積①23.25㎡ ②293.72㎡ 【売土地】福山市田尻町字柳ケ坪|1500万円|土地面積①376㎡ ②282.45㎡ ③686.64㎡ 【売土地】笠岡市金浦字西ノ山|20万円|土地面積①354.61㎡②896.00㎡③803.00㎡ 【一戸建賃貸住宅】福山市新涯町1丁目9-3(C2)一の川ハイツ|人気エリア新涯町の物件です! 【最大15万円分ギフト券】福山ハウジングクラブ新規会員様募集中です! カテゴリーで探す カテゴリーとキーワードで記事を検索できます。 ご案内 物件情報 事例紹介 イベント情報 キーワード検索 リノベの基礎知識 DIY 無垢材 湿気対策 インテリア ロフト キッチン トイレ・風呂 動画 部屋が完成するまで 収納 和紙畳 土間 在宅ワーク 壁 女性 料理 断熱 緑のカーテン・家庭菜園 防音 風通し